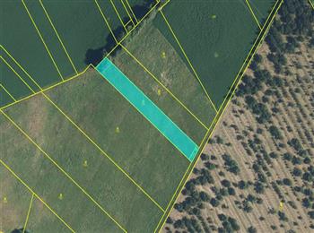
dražba pozemků v k.ú. Podhradí u Jičína, okr. Jičín

spisová značka 131 DD 3/25-DV11, 131 EX 16/06-31

Aktuální čas

začátek dražby06.11.2025 10:00  konec dražby06.11.2025 11:18 typ majetkuzemědělská půda
lokalitakraj Královéhradecký - okres Jičín

nejnižší podání 33 600 Kč 

vydraženo za: 40 600 Kč 

výše předražku: 50 750 Kč  předražit lze do: 21.11.2025 11:18  kontaktní e-mail: gajosova@exekuceliberec.cz 

znalecký posudek48 000 Kč dražební jistota7 000 Kč minimální příhoz1 000 Kč

 DRAŽBA UKONČENA - VYDRAŽENO

Popis

Jedná se o pozemky v k.ú. Podhradí u Jičína, okr. Jičín. Pozemek není v terénu blíže ohraničený a nachází se v lánu. Pozemek je veden v katastru nemovitostí jako trvalý travní porost. K pozemku je přístup přes pozemek parc. č. 1390, který je ve vlastnictví obce Podhradí.

Fotogalerie

 
Recovery Consult s.r.o. | e-aukce.com
Provozovatelem serveru drazby-exekutori.cz je Recovery Consult s.r.o., Podnikatelská 539, 19011 Praha
IČ: 08173184    tel.: +420 725 937 436

spravce@e-aukce.com | Všeobecné podmínky užívání serveru | Zásady ochrany osobních údajů
Copyright ©2025 Recovery Consult s.r.o.
Logo
administrace: Aira Group s.r.o.